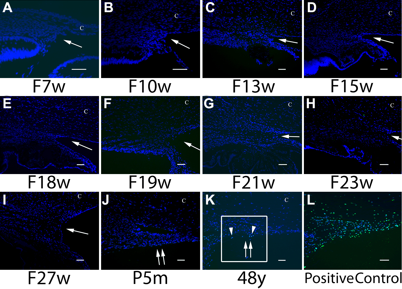
Figure 4 of Meghpara, Mol Vis 2008; 14:2492-2498.


Figure 4. Photomicrograph showing TUNEL assay. TUNEL positive nuclei were visualized with fluorescein (green). Note the absence of TUNEL labeled nuclei in the anterior chamber angle in all fetal and infant eyes. Rare positively labeled cells were detected in the 48-year-old adult trabecular meshwork (K; arrowhead). Positive green nuclear staining was detected in the DNase I treated positive control (L). F, fetus; w, week; m, month; y, year; C, Cornea. An asterisk indicates Schlemm’s canal. An arrow indicates an iridocorneal angle. Double arrows indicate the trabecular meshwork. Scale bar=50 μm. The area enclosed in the box is enlarged in Figure 3B. Eyes from other fetal or adults tissues that are not shown in the panel did not show TUNEL labeling.