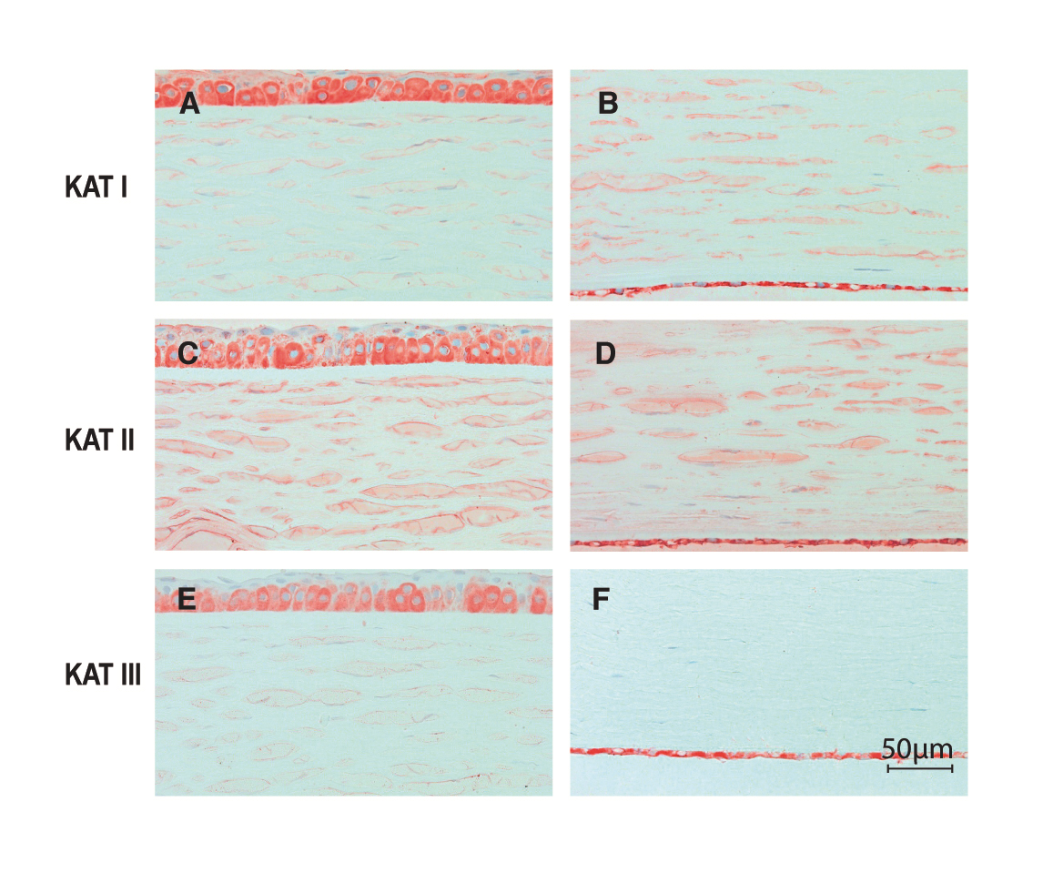
Figure 2. Immunoreactivity of kynurenine aminotransferases KAT I, KAT II, and KAT III in a healthy human central cornea. All three KAT
isoforms show a positive reaction in the epithelium and the endothelium (red staining of the cytoplasm around the nucleus).
There is a slight positive staining of the corneal stroma for KAT I and II. No KAT III immunoreactivity was found in the corneal
stroma. A: KAT I (epithelium + stroma). B: KAT I (stroma + endothelium). C: KAT II (epithelium + stroma). D: KAT II (stroma + endothelium). E: KAT III (epithelium + stroma). F: KAT III (stroma + endothelium; magnification 200X). Horizontal scale bar = 50 µm presented in panel F refers to all panels A-F.
