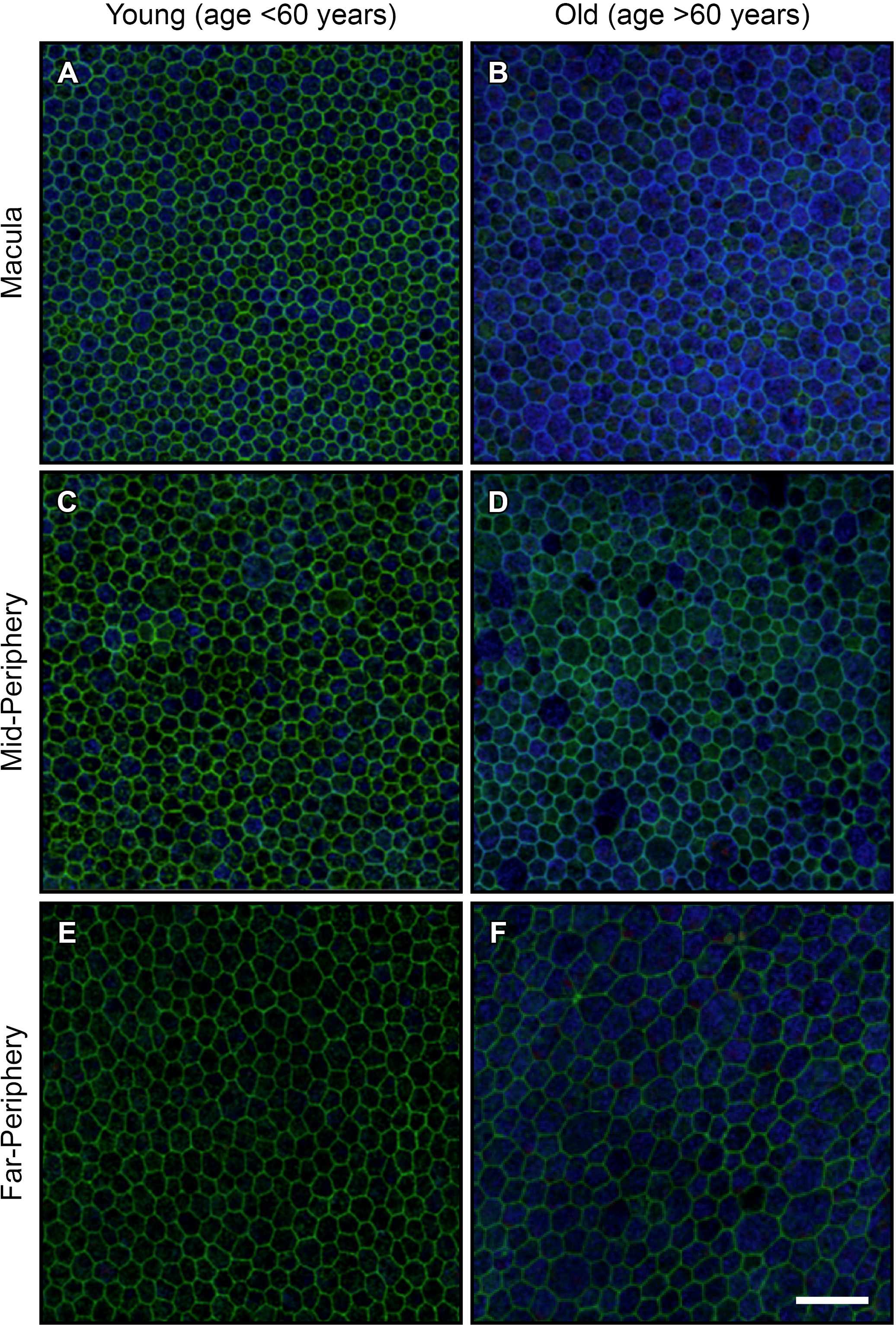
Figure 5. Representative images of RPE flatmounts. Representative images comparing a “young” donor (37 years old; A, C, and E) to an “old” donor (75 year old; B, D, and F) are shown. When qualitatively and subjectively compared to the young donor, the old donor’s cells appear to be larger, more
elongated, and more variable in area and shape. Scale bar = 50 μm.
