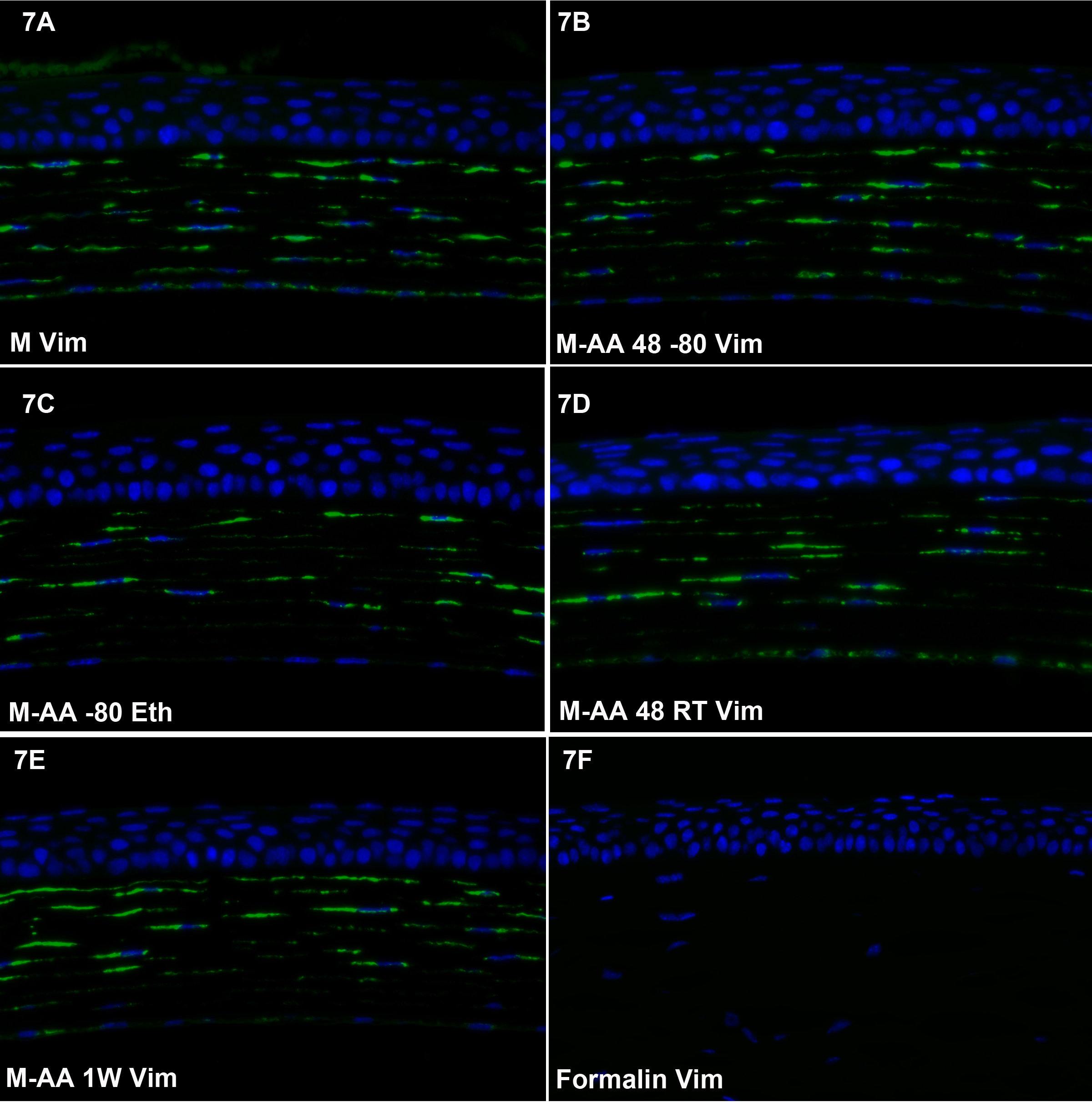
Figure 7. Corneal labeling with anti-vimentin antibody. Freeze substitution variants (A-E) all yielded greater immunoreactivity than the formalin-fixed tissue. There appears to be slightly better retention of reactivity
in the corneal endothelium in A and again in D.
