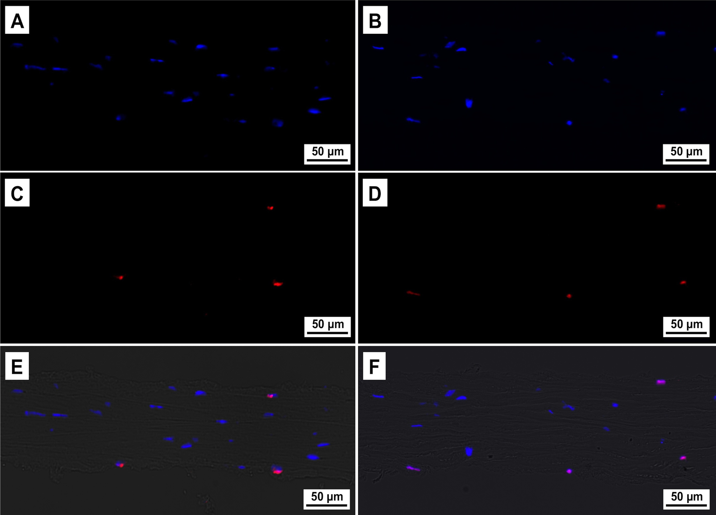
Figure 6. TUNEL-positive
(deoxynucleotidyl transferase-mediated nick end labeling assay)
cells in fresh and cryopreserved human lenticules. A, C,
E: Fresh samples. B, D, F:
Cryopreserved samples. A, B: DAPI-stained
(4',6-diamidino-2-phenylindole stain) cells. C, D:
TUNEL-positive cells. E, F: Composite image of
DAPI, TUNEL and Bright-field. Magnification, 200×.
